m: +385 (0)98 397 683 / e: info@drglusac.com

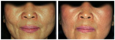
FAT TRANSFER - Before & After

Case 01

Case 02

Case 03

Case 04

Pin It